Werbung
Hurrikane HANNA und IKE 2008 (inkl. TS Josephine)
-
Michael (Gossau ZH)
- Beiträge: 321
- Registriert: Di 27. Jan 2004, 10:10
- Geschlecht: männlich
- Wohnort: Gossau ZH 8625
-
221057Gino
- Beiträge: 2225
- Registriert: Di 1. Jan 2008, 02:49
- Geschlecht: männlich
- Wohnort: CH 6044 Udligenswil LU
- Hat sich bedankt: 2 Mal
- Danksagung erhalten: 26 Mal
- Kontaktdaten:
Hurrikan HANNA / TS IKE
Interactive Map by Google Maps ( Hrcne Ike Cat.4 )
http://www.sturmforum.ch/forum_uploads/ ... Gino57.jpg
http://www.sturmforum.ch/forum_uploads/ ... Gino57.jpg
http://www.sturmforum.ch/forum_uploads/ ... Gino57.jpg
http://www.sturmforum.ch/forum_uploads/ ... Gino57.jpg
http://www.sturmforum.ch/forum_uploads/ ... Gino57.jpg
http://www.sturmforum.ch/forum_uploads/ ... Gino57.jpg
Meteogram CH - Udligenswil LU
http://forecast.uoa.gr/gmap/image/index ... 2,8.400671
http://gpvjma.ccs.hpcc.jp
https://twitter.com/Gino_Lucerne_CH
https://twitter.com
So long
Gino
http://forecast.uoa.gr/gmap/image/index ... 2,8.400671
http://gpvjma.ccs.hpcc.jp
https://twitter.com/Gino_Lucerne_CH
https://twitter.com
So long
Gino
-
Urbi
-
Urbi
(Hurrikan) TS HANNA / Hurrikan IKE
IKE
Track History
Synoptic Time Latitude Longitude Intensity
200809040600 22.4 -55 125
200809040000 21.8 -53.3 105
200809031800 21.2 -51.9 65
200809031200 20.5 -50.4 60

0945 UTC

0945 UTC
Zugbahn Vorhersage bis 06 00
- Editiert von Urbi am 04.09.2008, 14:09 -
Track History
Synoptic Time Latitude Longitude Intensity
200809040600 22.4 -55 125
200809040000 21.8 -53.3 105
200809031800 21.2 -51.9 65
200809031200 20.5 -50.4 60

0945 UTC

0945 UTC
Zugbahn Vorhersage bis 06 00
- Editiert von Urbi am 04.09.2008, 14:09 -
- Alfred
- Beiträge: 10469
- Registriert: Mo 21. Jul 2003, 16:23
- Geschlecht: männlich
- Wohnort: 8037 Zürich
- Hat sich bedankt: 49 Mal
- Danksagung erhalten: 90 Mal
(Hurrikan) TS HANNA / Hurrikan IKE
Sali zäme
Ein weiterer Versuch, die Güte der Zugbahnvoraussage zu testen.
HANNA und IKE Position am Sammstag 18 UTC mit verschiedenen
Startzeiten. Das vergebliche Bemühen von IKE, die HANNA ist schon
vorher im Wald verschwunden.

Grüess, Alfred
[hr]
Ein weiterer Versuch, die Güte der Zugbahnvoraussage zu testen.
HANNA und IKE Position am Sammstag 18 UTC mit verschiedenen
Startzeiten. Das vergebliche Bemühen von IKE, die HANNA ist schon
vorher im Wald verschwunden.

Grüess, Alfred
[hr]
- Badnerland
- Beiträge: 1655
- Registriert: Di 9. Mai 2006, 20:38
- Geschlecht: männlich
- Wohnort: D - 79104 Freiburg im Breisgau
- Hat sich bedankt: 291 Mal
- Danksagung erhalten: 231 Mal
(Hurrikan) TS HANNA / Hurrikan IKE
meist rund um Freiburg oder der Umgebung (Oberrheingraben, Schwarzwald, Dreiländereck) unterwegs 
-
Urbi
(Hurrikan) TS HANNA / Hurrikan IKE
Aus der Online Presse
Die Zahl der in Haiti durch den Hurrikan "Hanna" getöteten Menschen ist weiter gestiegen. Wie der Zivilschutz des Karibikstaates heute mitteilte, kamen mindestens 61 Menschen ums Leben. Zuvor hatte der Zivilschutz von 38 Todesopfern gesprochen. Große Teile des Landes sind überschwemmt, besonders betroffen ist die Großstadt Gonaives im Nordwesten.
------------------------------------------------------------------------
Nach Angaben des haitianischen Zivilschutzes starben allein 27 Menschen in der Stadt Gonaïves im Zentrum des Landes. Blauhelmsoldaten gelangten am Mittwoch erstmals mit Schlauchbooten in die überflutete Stadt und fanden Hunderte verzweifelter und hungernder Überlebender, die sich auf Hausdächer geflüchtet haben und dort zwei Tage lang ausharrten. Nach Behördenangaben fanden 25 000 Menschen in Notunterkünften Zuflucht.Teile von Haiti sind nach Hurrikan "Hanna" immer noch unter Wasser, da naht schon der nächste, noch stärkere Hurrikan: Mit Windböen bis zu 215 km/h zieht "Ike" über den Atlantik.
Gonaïves und weite Landstriche standen auch in der Nacht zum Donnerstag noch unter Wasser. Haiti ist wegen der starken Rodung seiner Wälder besonders anfällig für Überschwemmungen. In dem ärmsten Staat Amerikas leiden zudem viele Menschen unter Hunger; im April hatte es wegen der gestiegenen Lebensmittelpreise Unruhen gegeben. Seit Mitte August sind in Haiti durch die Wirbelstürme „Fay“, „Gustav“ und „Hanna“ schon mehr als 160 Menschen ums Leben gekommen. „
--------------------------------------------------------------------------
Port-au-Prince/New Orleans (AFP) - Nach dem Hurrikan "Hanna" steigt in Haiti die Zahl der Todesopfer: Bislang wurden 61 Tote gezählt, hunderte Häuser sind zerstört, große Teile des Landes stehen weiter unter Wasser. Über dem Atlantik entwickelte sich "Ike", der fünfte Hurrikan dieser Saison, zu einem Monstersturm. Das US-Hurrikan-Zentrum NHC stufte ihn auf die "extrem gefährliche" Kategorie vier der fünfstufigen Saffir-Simpson-Skala hoch. In New Orleans kehren die vor Hurrikan "Gustav" geflohenen Menschen allmählich in ihre Häuser zurück.
Anzeige
Ob auch "Ike" über Haiti hinwegfegen wird, ist noch unklar. Laut NHC bewegt sich der Hurrikan mit einer Geschwindigkeit von 28 Stundenkilometern und Windgeschwindigkeiten von bis zu 215 km/h in westlicher Richtung über den Atlantik. Es sei noch zu früh, vorherzusagen, ob und wo er auf Land treffen würde, erklärte das NHC. Der hinterherziehende Tropensturm "Josephine" soll heute an Kraft verlieren.
"Hanna" bewegt sich auf die Bahamas zu. Nach Angaben des US-Hurrikan-Zentrums könnte sich der Tropensturm wieder zu einem Hurrikan aufbauen. Auf den Bahamas wurden Notunterkünfte aufgebaut, die Krankenhäuser trafen Vorkehrungen, um während des Sturms uneingeschränkt arbeiten zu können.
In New Orleans hob Bürgermeister Ray Nagin die Evakuierungsanordnung auf. Doch noch immer waren mehr als eine Million Wohnungen und Büros ohne Strom, wie die Stromversorger mitteilten. Die meisten Tankstellen hatten kein Benzin. Nagin sagte, Präsident George W. Bush habe ihm Milliardenhilfen für den Wiederaufbau von New Orleans und für die Verbesserung des Hochwasserschutzes zugesichert. "Gustav" hinterließ bei seinem Durchzug über die US-Küste am Montag weitaus geringere Schäden als befürchtet.
- Editiert von Urbi am 04.09.2008, 16:24 -
Die Zahl der in Haiti durch den Hurrikan "Hanna" getöteten Menschen ist weiter gestiegen. Wie der Zivilschutz des Karibikstaates heute mitteilte, kamen mindestens 61 Menschen ums Leben. Zuvor hatte der Zivilschutz von 38 Todesopfern gesprochen. Große Teile des Landes sind überschwemmt, besonders betroffen ist die Großstadt Gonaives im Nordwesten.
------------------------------------------------------------------------
Nach Angaben des haitianischen Zivilschutzes starben allein 27 Menschen in der Stadt Gonaïves im Zentrum des Landes. Blauhelmsoldaten gelangten am Mittwoch erstmals mit Schlauchbooten in die überflutete Stadt und fanden Hunderte verzweifelter und hungernder Überlebender, die sich auf Hausdächer geflüchtet haben und dort zwei Tage lang ausharrten. Nach Behördenangaben fanden 25 000 Menschen in Notunterkünften Zuflucht.Teile von Haiti sind nach Hurrikan "Hanna" immer noch unter Wasser, da naht schon der nächste, noch stärkere Hurrikan: Mit Windböen bis zu 215 km/h zieht "Ike" über den Atlantik.
Gonaïves und weite Landstriche standen auch in der Nacht zum Donnerstag noch unter Wasser. Haiti ist wegen der starken Rodung seiner Wälder besonders anfällig für Überschwemmungen. In dem ärmsten Staat Amerikas leiden zudem viele Menschen unter Hunger; im April hatte es wegen der gestiegenen Lebensmittelpreise Unruhen gegeben. Seit Mitte August sind in Haiti durch die Wirbelstürme „Fay“, „Gustav“ und „Hanna“ schon mehr als 160 Menschen ums Leben gekommen. „
--------------------------------------------------------------------------
Port-au-Prince/New Orleans (AFP) - Nach dem Hurrikan "Hanna" steigt in Haiti die Zahl der Todesopfer: Bislang wurden 61 Tote gezählt, hunderte Häuser sind zerstört, große Teile des Landes stehen weiter unter Wasser. Über dem Atlantik entwickelte sich "Ike", der fünfte Hurrikan dieser Saison, zu einem Monstersturm. Das US-Hurrikan-Zentrum NHC stufte ihn auf die "extrem gefährliche" Kategorie vier der fünfstufigen Saffir-Simpson-Skala hoch. In New Orleans kehren die vor Hurrikan "Gustav" geflohenen Menschen allmählich in ihre Häuser zurück.
Anzeige
Ob auch "Ike" über Haiti hinwegfegen wird, ist noch unklar. Laut NHC bewegt sich der Hurrikan mit einer Geschwindigkeit von 28 Stundenkilometern und Windgeschwindigkeiten von bis zu 215 km/h in westlicher Richtung über den Atlantik. Es sei noch zu früh, vorherzusagen, ob und wo er auf Land treffen würde, erklärte das NHC. Der hinterherziehende Tropensturm "Josephine" soll heute an Kraft verlieren.
"Hanna" bewegt sich auf die Bahamas zu. Nach Angaben des US-Hurrikan-Zentrums könnte sich der Tropensturm wieder zu einem Hurrikan aufbauen. Auf den Bahamas wurden Notunterkünfte aufgebaut, die Krankenhäuser trafen Vorkehrungen, um während des Sturms uneingeschränkt arbeiten zu können.
In New Orleans hob Bürgermeister Ray Nagin die Evakuierungsanordnung auf. Doch noch immer waren mehr als eine Million Wohnungen und Büros ohne Strom, wie die Stromversorger mitteilten. Die meisten Tankstellen hatten kein Benzin. Nagin sagte, Präsident George W. Bush habe ihm Milliardenhilfen für den Wiederaufbau von New Orleans und für die Verbesserung des Hochwasserschutzes zugesichert. "Gustav" hinterließ bei seinem Durchzug über die US-Küste am Montag weitaus geringere Schäden als befürchtet.
- Editiert von Urbi am 04.09.2008, 16:24 -
-
Urbi
(Hurrikan) TS HANNA / Hurrikan IKE
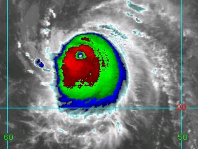
Hurrikan IKE
Niederschlagsbild von MET 9 14.30 Uhr UTC
Dieses Bild habe ich von Eumesat. Die Seitenansicht gefällt mir hier besonders. Dank des Niederschlages gibt es eine Einsicht in die Wolke Ich wollte das noch ins Forum stellen, weil IKE demnächst hinter dem Horizont verschwindet. Die Farben zeigen den 1 Std. Niederschlag

IKE und JOSEPHINE 12.00 UTC
Auch von Eumetsat.
Sehr infomatives Sat Bild. Mehr Infos auf der Eumetsat Adresse weiter unten.

http://www.eumetsat.int/Home/Main/Image ... x.htm?l=en
Hier bekommt Ihr auch gleich noch Infos zu den Inhalten der Darstellungen. Eine sehr gute Sat Seite. Wirklich empfehlenswert. Leider nur in Englisch
Also wieder einmal zwei Sat Bilder die echte Leckerlis sind.
Grüsse
Urbi
- Editiert von Urbi am 04.09.2008, 22:21 -
Niederschlagsbild von MET 9 14.30 Uhr UTC
Dieses Bild habe ich von Eumesat. Die Seitenansicht gefällt mir hier besonders. Dank des Niederschlages gibt es eine Einsicht in die Wolke Ich wollte das noch ins Forum stellen, weil IKE demnächst hinter dem Horizont verschwindet. Die Farben zeigen den 1 Std. Niederschlag

IKE und JOSEPHINE 12.00 UTC
Auch von Eumetsat.
Sehr infomatives Sat Bild. Mehr Infos auf der Eumetsat Adresse weiter unten.

http://www.eumetsat.int/Home/Main/Image ... x.htm?l=en
Hier bekommt Ihr auch gleich noch Infos zu den Inhalten der Darstellungen. Eine sehr gute Sat Seite. Wirklich empfehlenswert. Leider nur in Englisch
Also wieder einmal zwei Sat Bilder die echte Leckerlis sind.
Grüsse
Urbi
- Editiert von Urbi am 04.09.2008, 22:21 -
-
Urbi
(Hurrikan) TS HANNA / Hurrikan IKE
IKE 3 September 19.03 dreidimensionales
Radarbild 460 Kb
in Gif umgewandelt für das Forum
Dann mal reingeschaut, wie so ein Hurrikan im Innern aussieht. Die Radar-3D Darstellung zeigt mehr als nur ein oberflächliches Bild.
JA und hier nätürlich noch die Adresse der Seite. Leider gibt es nur selten solche aktuelle Darstellungen. Dort könnt Ihr den Film dann (jetzt) noch als ganzes anschauen.
http://trmm.gsfc.nasa.gov/
Grüsse
und
Auch auf Eure Beiträge sind wohl alle Neugierig.
- Editiert von Urbi am 04.09.2008, 22:31 -
Radarbild 460 Kb
in Gif umgewandelt für das Forum
Dann mal reingeschaut, wie so ein Hurrikan im Innern aussieht. Die Radar-3D Darstellung zeigt mehr als nur ein oberflächliches Bild.
JA und hier nätürlich noch die Adresse der Seite. Leider gibt es nur selten solche aktuelle Darstellungen. Dort könnt Ihr den Film dann (jetzt) noch als ganzes anschauen.
http://trmm.gsfc.nasa.gov/
Grüsse
und
Auch auf Eure Beiträge sind wohl alle Neugierig.
- Editiert von Urbi am 04.09.2008, 22:31 -



