Werbung
Hurrikan GUSTAV
-
221057Gino
- Beiträge: 2225
- Registriert: Di 1. Jan 2008, 02:49
- Geschlecht: männlich
- Wohnort: CH 6044 Udligenswil LU
- Hat sich bedankt: 2 Mal
- Danksagung erhalten: 26 Mal
- Kontaktdaten:
Hurrikan Gustav
Key West ( FL ) USA
Erste Vorboten ( Radar ) von Major Hrcne Gustav ( H3 )
http://www.sturmforum.ch/forum_uploads/ ... Gino57.jpg
Erste Vorboten ( Radar ) von Major Hrcne Gustav ( H3 )
http://www.sturmforum.ch/forum_uploads/ ... Gino57.jpg
Meteogram CH - Udligenswil LU
http://forecast.uoa.gr/gmap/image/index ... 2,8.400671
http://gpvjma.ccs.hpcc.jp
https://twitter.com/Gino_Lucerne_CH
https://twitter.com
So long
Gino
http://forecast.uoa.gr/gmap/image/index ... 2,8.400671
http://gpvjma.ccs.hpcc.jp
https://twitter.com/Gino_Lucerne_CH
https://twitter.com
So long
Gino
-
221057Gino
- Beiträge: 2225
- Registriert: Di 1. Jan 2008, 02:49
- Geschlecht: männlich
- Wohnort: CH 6044 Udligenswil LU
- Hat sich bedankt: 2 Mal
- Danksagung erhalten: 26 Mal
- Kontaktdaten:
Hurrikan Gustav
Meteogram CH - Udligenswil LU
http://forecast.uoa.gr/gmap/image/index ... 2,8.400671
http://gpvjma.ccs.hpcc.jp
https://twitter.com/Gino_Lucerne_CH
https://twitter.com
So long
Gino
http://forecast.uoa.gr/gmap/image/index ... 2,8.400671
http://gpvjma.ccs.hpcc.jp
https://twitter.com/Gino_Lucerne_CH
https://twitter.com
So long
Gino
-
Stefan Hörmann
- Beiträge: 814
- Registriert: Mi 18. Jun 2003, 13:45
- Geschlecht: männlich
- Wohnort: Ehingen
- Danksagung erhalten: 2 Mal
- Kontaktdaten:
Hurrikan Gustav
Hi,
bin ja gespannt, ob er seine Zugrichtung ändert wenn er auf Cuba wieder verlässt. Als tropischer Sturm hat er ja nach dem Verlassen von Haiti eine fette Linkskurve eingeschlagen. Ob die Topogrphie bei der Stärke (CAT3) jetzt noch einen gröberen Richtungswechsel zulässt?
bin ja gespannt, ob er seine Zugrichtung ändert wenn er auf Cuba wieder verlässt. Als tropischer Sturm hat er ja nach dem Verlassen von Haiti eine fette Linkskurve eingeschlagen. Ob die Topogrphie bei der Stärke (CAT3) jetzt noch einen gröberen Richtungswechsel zulässt?
Viele Grüße,
Stefan, Ehingen/Donau, 545NN, Südrand Schwäbische Alb
http://www.gleitsegelwetter.de - Ein Dienst im Auftrag der Piloten
Mein größter Wetterwunsch zu Lebzeiten: Eine komplette Seegfrörne am Bodensee
Stefan, Ehingen/Donau, 545NN, Südrand Schwäbische Alb
http://www.gleitsegelwetter.de - Ein Dienst im Auftrag der Piloten
Mein größter Wetterwunsch zu Lebzeiten: Eine komplette Seegfrörne am Bodensee
- Kaiko (Döttingen)
- Moderator
- Beiträge: 2667
- Registriert: Sa 1. Sep 2001, 16:23
- Geschlecht: männlich
- Wohnort: 5312 Döttingen
- Hat sich bedankt: 2084 Mal
- Danksagung erhalten: 2131 Mal
- Kontaktdaten:
Hurrikan Gustav
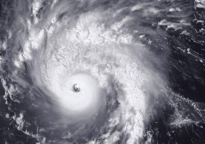
Gustav gemäss letzten Flugzeugmessungen nun knapp Kategorie 4:

Isle de la Juventud wird hoffentlich von der rückseitigen Augenwand verschont:

Gruss Kaiko

Isle de la Juventud wird hoffentlich von der rückseitigen Augenwand verschont:

Gruss Kaiko
Mitbetreiber des Sturmarchivs Schweiz und Wetterforscher aus Leidenschaft: http://www.sturmarchiv.ch/
-
Jan (Böckten, BL)
- Beiträge: 1042
- Registriert: Mo 13. Okt 2003, 10:22
- Wohnort: Böckten BL
- Hat sich bedankt: 43 Mal
- Danksagung erhalten: 212 Mal
Hurrikan Gustav
Wahrlich ein Monster.. das NHC macht jetzt sogar 34% Wahrscheinlichkeit für einen Kat. 5! (Gestern lag die Wahrscheinlichkeit noch bei 4%!, sie haben im letzten Report bestätigt, dass die Intensivierung ihre Vorhersagen übertroffen hat..)


-
Stocken
- Beiträge: 906
- Registriert: Do 2. Jan 2003, 19:17
- Geschlecht: männlich
- Wohnort: Oberwald VS 1370m
- Hat sich bedankt: 13 Mal
- Danksagung erhalten: 40 Mal
- Kontaktdaten:
Hurrikan Gustav
Für die Freunde von Radarbilder:
Link zum Kuba-Radar... lädt derzeit allerdings sehr langsam.
http://www.insmet.cu/asp/genesis.asp?TB ... AXw01a.gif
Link zum Kuba-Radar... lädt derzeit allerdings sehr langsam.
http://www.insmet.cu/asp/genesis.asp?TB ... AXw01a.gif
Von mir veröffentliche Daten gehören zu 100% MeteoGroup Schweiz AG oder den staatlichen Wetterdiensten und dürfen ohne Genehmigung nicht weiter verbreitet werden. Die meisten der Daten sind auch auf http://www.meteocentrale.ch zu finden.
-
Kurt
- Beiträge: 672
- Registriert: Sa 17. Mai 2003, 14:30
- Geschlecht: männlich
- Wohnort: 4900 Langenthal
Hurrikan Gustav
Grüezi
Hurrikan GUSTAV hat sich massiv verstärkt, nun Kat. 4 !
PS Off Topic Neuer Wohnort nun in Lotzwil (südlich von Langenthal) inkl. neuer Email Adresse
Gruss, Kurt
Hurrikan GUSTAV hat sich massiv verstärkt, nun Kat. 4 !
PS Off Topic Neuer Wohnort nun in Lotzwil (südlich von Langenthal) inkl. neuer Email Adresse
Gruss, Kurt



