Letzte Nacht zog Hagupit / Ruby mit seinem Kern rund 50 km südlich von Punta Fuego, Batangas vorbei - dem Ort meiner Hochzeit

vor knapp 3 Jahren.

Quelle:
http://typhoon2000.ph
Nun verlässt der seit Tagen über den Philippinen wütende Sturm das Land mit den 7'000 Inseln Richtung südchinesisches Meer - inzwischen hat er sich zum trop. Sturm abgeschwächt.
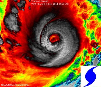
Hier das aktuellste IR-Bild:

Quelle:
http://www.nrlmry.navy.mil
Auch dank einer
beispiellosen Evakuierung von über 1 Mio. Menschen sind die Opferzahlen relativ gering geblieben - trotzdem fielen dem Sturm mindestens 27 Menschen zum Opfer.
Nachdem der lokale Wetterdienst (PAGASA) beim Katastrophen-Typhoon Hayan viel Kritik einstecken musste, wollte man es diesmal besser machen. Hier ein Bericht über deren Abschneiden im aktuellen Fall:
http://www.westernpacificweather.com/20 ... were-they/
Ich selbst kann es nicht genau beurteilen, habe die Sache zu wenig genau verfolgt. Denke aber, dass es noch viel Verbesserungspotential gäbe.
Zwei Beispiele:
- Die Webseite sollte einem Massenzugriff standhalten können (Webseite war zwischenzeitlich überlastet und nicht mehr erreichbar).
- Die international verwendete Sturmkategorie "Supertyphoon" wird erst nächstes Jahr eingeführt. Warum nicht schon früher?
Für einmal war Surfen angesagt an Boracays
Westküste:

Aufnahme vom 8. Dezember / Quelle:
http://boracaylive.com/boracay-beach-live-camera/
Gruss,
Chris