Sali zäme
Nur — weil es auch etliche aus unserem Forum lesen!
http://www.mswetter.com/2013/09/hochdruck-terror.html
Das mit HUMBERTO (im 5. Textabschnitt) kann nicht stimmen.
Was man eingeschänkt noch gelten lassen konnte, war der Blogbeitrag,
http://www.mswetter.com/2013/09/scharfe-grenze.html
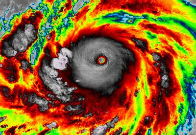
denn am 24. um 17 UTC konnte man noch die letzten sichtbaren Reste
von Humberto, als noch etwas zusammenhängendes System erkennen.

(Vis HRV 17:00 UTC)

(IR 17:00 UTC mit den Voraustrajks für 12Z)
Muss im Bild HUMBERTO heissen
Aber es war wirklich nur noch etwas ganz kleines am Rande des grossen
Tiefs,
welches so lange nicht getauft wurde, aber eben ganz richtig
nicht als Ex-Humberto sondern als VITALY.
Der Weg nach dem 24. September konnte man nicht mehr sehen, sondern
nur noch ausrechnen lassen (
ist ja ahnlich, wie beim letzten Seufzer von
Cäsar, dessen ganz kleine Teile wir immer noch bei jedem Einschaufen auf-
nehmen) aber als zusammenhängendes System besteht es nicht mehr,
schon bevor die wirklichen Reste in den Einflussbereich des nächten Ost-
atlantik Tiefs kam.

(IR 27. 12z & Voraustrajks 28. 12Z)

(IR-28. 1145_1200z-Trajks 12. 06z bis 28. 12z)

Gruss, Alfred