Werbung

2009: HURRIKAN JIMENA Ostpazifik

Alles zu (Un)wetter, übriges Europa und weltweit
Antworten
URBI

2009: HURRIKAN JIMENA Ostpazifik

Beitrag von URBI »

_____________________________________________________________.


Hurrikan "Jimena" bedroht mexikanische Westküste

31. August 2009, 09:42
Es wurden bereits Notunterkünfte eingerichtet

Miami - Die Bewohner der mexikanischen Halbinsel Baja California haben sich am Montag für die Ankunft von Wirbelsturm "Jimena" gerüstet. Nach Angaben von Meteorologen könnte der Hurrikan der Kategorie 4 dort am Dienstagabend auf Land stoßen. Ein Experte des Nationalen US-Hurrikanzentrums sprach von einem "beachtlichen Hurrikan".

Am Sonntagabend erreichte der Wirbelsturm Windgeschwindigkeiten bis 230 Kilometer pro Stunde. Die Bewohner der bedrohten Region deckten sich mit Nahrungsmitteln ein, die Behörden richteten Notunterkünfte ein. Auf der Halbinsel liegen viele Badeorte, die auch von Touristen aus dem Ausland besucht werden. (APA)


http://derstandard.at


_____________________________________________________________






30.08.09 02.45 UTC

Bild
+

Ganz rechts:
AL 94 2009 - INVEST

Ganz links:
EP 13 2009 - Hurrikan JIMENA


JIMEMA: IR- 06.45 UTC
Bild




Aktuell Hurrikan JIMENA

__Bild
+ >> Grösser

+ >> Zur Seite

31.08 --01.00 UTC
Bild
+



+ >> Situation 31.08 Hurrikan Stärke 4

+ >> Animation IR: 31.08 06 30 bis 08 00 UTC

Code: Alles auswählen

Track History
Synoptic Time 	Latitude 	Longitude 	Intensity
200908310600 	17.2 	-107.6       125
200908310000 	16.7 	-107  	 125
200908301800 	16.3 	-106.6 	115
200908301200 	16 	  -106 	  115
200908300600 	15.8 	-105.5 	95
200908300000 	15.5 	-104.7 	90
200908291800 	14.8 	-103.8 	90
200908291200 	14.1 	-102.8 	60
200908290600 	13.9 	-101.9 	45
200908290000 	13.7 	-101.4 	30


.
JIMENA
29.08 --20.14 UTC
bis
31.08
--07.15 UTC
Bild
Links: Tropischer Sturm KEVIN


Bild

31.08 --0915 UTC
Bild
+



+ >> NHC: Mobile Version


Grüsse
Urbi

.

lukasm
Beiträge: 702
Registriert: Fr 3. Jul 2009, 17:52
Hat sich bedankt: 204 Mal
Danksagung erhalten: 129 Mal

Re: 2009: HURRIKAN JIMENA Ostpazifik

Beitrag von lukasm »

Hallo zusammen

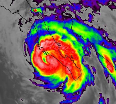
Hat Jimena jetzt ne 5 auf dem Rücken?
Bild

Viele Grüsse

Lukas
Der Donner erschüttert die heitere Bläue des Himmels,
Weil hochfliegende Wolken im Äther einander sich stoßen,
Wenn in der Mitte sie stehn von entgegengerichteten Winden.

aus "De rerum natura", 1. Jh. v. Chr. (Titus Lucretius Carus, Lukrez)


Benutzeravatar
Alfred
Beiträge: 10469
Registriert: Mo 21. Jul 2003, 16:23
Geschlecht: männlich
Wohnort: 8037 Zürich
Hat sich bedankt: 49 Mal
Danksagung erhalten: 90 Mal

Re: 2009: HURRIKAN JIMENA Ostpazifik

Beitrag von Alfred »

Sali @Lukas

Nach meiner Rechnung sollte die max. Geschwindigkeit um 15 UTC erreicht sein!

Gruss, Alfred

Benutzeravatar
Alfred
Beiträge: 10469
Registriert: Mo 21. Jul 2003, 16:23
Geschlecht: männlich
Wohnort: 8037 Zürich
Hat sich bedankt: 49 Mal
Danksagung erhalten: 90 Mal

Re: 2009: HURRIKAN JIMENA Ostpazifik

Beitrag von Alfred »

Sali zäme

Ich kann sagen; Mit ECMWF und den TRAJKS sehr zufrieden!
GOES 2.9.2009 0230Z und Trajksrechnung mit den Daten vom 31. Aug. & 1. Sept. 12Z-Lauf.

Bild
(Fehlertoleranz: Umsetzung auf G-Earth +- 0.1°)

Gruss, Alfred
Zuletzt geändert von Alfred am Mi 2. Sep 2009, 06:11, insgesamt 1-mal geändert.

221057Gino
Beiträge: 2225
Registriert: Di 1. Jan 2008, 02:49
Geschlecht: männlich
Wohnort: CH 6044 Udligenswil LU
Hat sich bedankt: 2 Mal
Danksagung erhalten: 26 Mal
Kontaktdaten:

Re: 2009: HURRIKAN JIMENA Ostpazifik

Beitrag von 221057Gino »

Guten morgen

Powerfull Major Hrcne Jimena aktuell ( GFS NCEP Grib ... auch ziemlich genau bis jetzt ) ;)

Bild

URBI

Re: 2009: HURRIKAN JIMENA Ostpazifik

Beitrag von URBI »

02.08.09 0745 UTC
Bild
+


0800 UTC
Bild
+



Nachtrag

Hurrikan "Jimena" hat Mexiko erreicht
Mit Windstärken von mehr als 180 km/h hat der Hurrikan "Jimena" heute die mexikanische Pazifikküste erreicht. Dort hatten sich bereits in den vergangenen Tagen die Wetterbedingungen drastisch verschlechtert.

Der Wirbelsturm warf meterhohe Wellen an die Küsten. Seine Regenmassen verwandelten in den Bergen Bäche in reißende Flüsse und setzten tief liegende Gebiete unter Wasser.

Auf Kategorie zwei zurückgestuft
Meteorologen des US-Hurrikanzentrums in Miami haben vorausberechnet, dass das Zentrum des Sturmes bei der Gemeinde San Jose de Comondu das dünn besiedelte Land im Süden der Halbinsel trifft. Es sei damit zu rechnen, dass "Jimena" bei seinem Zug über die rund 2.000 Meter hohen Berge weiter an Kraft einbüßen werde. In der Früh war der Wirbelsturm bereits in die Kategorie zwei auf der fünfteiligen Skala zurückgestuft worden.
Quelle: ORF.at

Nachtrag 2
Bild
Zuletzt geändert von URBI am Mi 2. Sep 2009, 12:13, insgesamt 3-mal geändert.

Benutzeravatar
HB-EDY
Beiträge: 933
Registriert: Sa 27. Jan 2007, 15:22
Geschlecht: männlich
Wohnort: 8607 Seegräben/570m
Hat sich bedankt: 171 Mal
Danksagung erhalten: 17 Mal
Kontaktdaten:

Re: 2009: HURRIKAN JIMENA Ostpazifik

Beitrag von HB-EDY »

...die "Puste" geht wohl langsam aus... ;)

http://www.stormpulse.com/pacific

und

http://eebmike.com/

salve
Edy
Zuletzt geändert von HB-EDY am Mi 2. Sep 2009, 11:29, insgesamt 1-mal geändert.
I like stormy nights...................!

Wetterstation Seegräben 570m
http://www.kaikowetter.ch/mc/meteoplug_seegrabenX.html


lukasm
Beiträge: 702
Registriert: Fr 3. Jul 2009, 17:52
Hat sich bedankt: 204 Mal
Danksagung erhalten: 129 Mal

Re: 2009: HURRIKAN JIMENA Ostpazifik

Beitrag von lukasm »

Hallo zusammen

Lukas will jetzt auch mal ein Bildchen posten ;) ... in der Hoffnung, dass ich nichts falsches mache :oops:

Das Bild ist zwar unter 1 MB - aber hochladen kann ich es trotzdem nicht ... "Sorry, Datei ist leer oder nicht vorhanden"
Bild

Viele Grüsse

Lukas
Zuletzt geändert von lukasm am Mi 2. Sep 2009, 17:23, insgesamt 1-mal geändert.
Der Donner erschüttert die heitere Bläue des Himmels,
Weil hochfliegende Wolken im Äther einander sich stoßen,
Wenn in der Mitte sie stehn von entgegengerichteten Winden.

aus "De rerum natura", 1. Jh. v. Chr. (Titus Lucretius Carus, Lukrez)

Antworten